

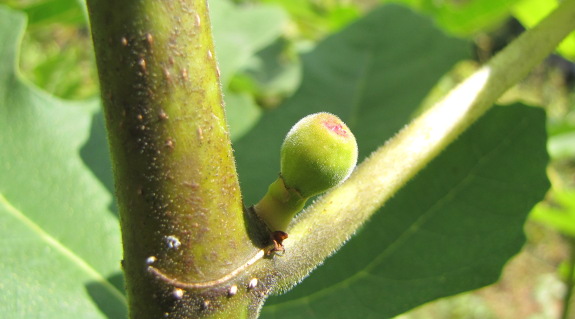
Our Chicago
Hardy Fig grew
beautifully in its first year and would have given us some ripe fruits
if our growing season had been just a month or two longer.
My winter-protection of
autumn leaves enclosed in some of that green plastic trellis material I
love so much worked great, but I unwrapped the tree prematurely in the
spring. The tender buds were nipped by a late frost and the fig
had to regrow from the ground, which is probably why it got such a late
start on fruiting.
The jury's still out
until I taste a homegrown fig here in zone 6, but I have high hopes
that the tiny tree will come through for us next year!
Hello I grew one in the back of my garden facing S/SW. This is Zone 6/6a about 2 miles from the coast. After three years, it reached 10 feet in height and a diameter at the base of 3.5 inches. The figs were smaller than the Brown Turkey tree that I used to have, but sweet enough! [The Brown turkey Fig was buried in a "grave" three feet deep every year until it got so large that I could no longer handle. it. [The branches spread 8 - 10 feet and it was 8 feet tall. Cutting branches back to bury it cut down the production of figs. One year it did have 80 huge figs!]
The Chicago hardy Fig, alas, was killed by rodents girdling it during last year's unbelievable amount of snow. They remained unseen for months while they tunneled through the snow feeding on six of my mature dwarf fruit trees and the fig. Never had this happen in 50+ years of gardening.
I have three other Chicago Hardy figs, that I have been "bringing along" and replanted in the back section where the other one grew. They are wired above and below the surface this time. Things grew 2x as fast back there as the parking lots back there help the hottest time of the day to be even hotter. The CHF loves the heat and good "medium density" loam.
You may want to try the dwarf Black Fig. Have one in a pot and it is now forming figs. It crops about 2x a year. Grows about 3 -4 feet, but easy to maintain. Keep indoors in Winter and out in latter part of Spring. Nice small figs...some fairly large too. You can find it on-line.
Wish you luck with your figs one and all!
Happy Holidays!
Maybe next time I'll tell you about my Giant Sequoia tree!
Richard
It sounds like your fig got huge for your climate! I'm surprised, though, that it didn't sprout back up from the roots when the rodents girdled it since the trees will come back when killed back by cold.
Very smart about your parking lot microclimate....
I'd be tempted by the potted fig, but we love our Meyers lemons more and there's a very limited amount of space inside in the winter.